Šalovci 162
9204 Šalovci
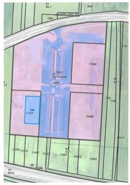
IZGRADNJA EKONOMSKO POSLOVNE CONE ŠALOVCI
Namen projekta izgradnje ekonomsko poslovne cone Šalovci je zagotoviti pogoje za razvoj tistih podjetij, ki potrebujejo nove razvojno-poslovne infrastrukturne (logistične) kapacitete, ki beležijo rast, pa jim njihovi obstoječi prostori to rast prej onemogočajo kot podpirajo, ki krepijo verigo vrednosti na svojem področju ter prinašajo nova delovna mesta v lokalno okolje.
Občina Šalovci s tem projektom nudi še dodatno podporo razvoju obstoječih malih in srednje velikih podjetij (t. i. MSP-ji), spodbuja inovativna start-up podjetja ter jim omogoča gospodarsko oz. poslovno rast in razvoj. V prihodnje želi Občina Šalovci smiselno povezovati nove vlagatelje z lokalnim oz. regionalnim podjetniškim okoljem, z nosilci znanja in razvoja ter jim posredno zagotavljati spodbudno poslovno okolje in infrastrukturne pogoje za širitev njihovih aktivnosti.
Gradbena dela za izgradnjo ekonomsko poslovne cone v Šalovcih so zaključena. Na območju poslovne cone je izgrajena tudi vsa komunalna infrastruktura – vodovodno in kanalizacijsko omrežje ter električno in širokopasovno omrežje. V poslovni coni je Občina Šalovci tri zemljišča že odmerila, ostala pa bodo odmerjena glede na potrebe posameznih zainteresiranih vlagateljev.
V poslovni coni je še nekaj prostih mest. Za dodatne informacije smo vam na voljo na:
T: 02 559 80 50
E: info@salovci.si